Občine: Bistrica ob Sotli, Brežice, Kostanjevica na Krki, Krško, Radeče, Sevnica Občine: Benedikt, Cerkvenjak, Cirkulane, Destrnik, Dornava, Duplek, Gorišnica, Hajdina, Hoče-Slivnica, Juršinci, Kidričevo, Kungota, Lenart, Lovrenc na Pohorju, Majšperk, Makole, Maribor, Markovci, Miklavž na Dravskem polju, Oplotnica, Ormož, Pesnica, Podlehnik, Poljčane, Ptuj, Rače-Fram, Ruše, Selnica ob Dravi, Slovenska Bistrica, Središče ob Dravi, Starše, Sveta Ana, Sveta Trojica v Slovenskih goricah, Sveti Andraž v Slovenskih goricah, Sveti Jurij v Slovenskih goricah, Sveti Tomaž, Šentilj, Trnovska vas, Videm, Zavrč, Žetale Občine: Borovnica, Brezovica, Dobrepolje, Dobrova-Polhov Gradec, Dol pri Ljubljani, Domžale, Grosuplje, Horjul, Ig, Ivančna Gorica, Kamnik, Komenda, Litija, Ljubljana, Log - Dragomer, Logatec, Lukovica, Medvode, Mengeš, Moravče, Škofljica, Šmartno pri Litiji, Trzin, Velike Lašče, Vodice, Vrhnika Občine: Bloke, Cerknica, Ilirska Bistrica, Loška dolina, Pivka, Postojna Občine: Ajdovščina, Bovec, Brda, Cerkno, Idrija, Kanal ob Soči, Kobarid, Miren-Kostanjevica, Nova Gorica, Renče-Vogrsko, Šempeter-Vrtojba, Tolmin, Vipava Občine: Apače, Beltinci, Cankova, Črenšovci, Dobrovnik, Gornja Radgona, Gornji Petrovci, Grad, Hodoš, Kobilje, Križevci, Kuzma, Lendava, Ljutomer, Moravske Toplice, Murska Sobota, Odranci, Puconci, Radenci, Razkrižje, Rogašovci, Sveti Jurij ob Ščavnici, Šalovci, Tišina, Turnišče, Velika Polana, Veržej Občine: Črnomelj, Dolenjske Toplice, Kočevje, Kostel, Loški Potok, Metlika, Mirna, Mirna Peč, Mokronog-Trebelno, Novo mesto, Osilnica, Ribnica, Semič, Sodražica, Straža, Šentjernej, Šentrupert, Škocjan, Šmarješke Toplice, Trebnje, Žužemberk Občine: Ankaran, Divača, Hrpelje-Kozina, Izola, Komen, Koper, Piran, Sežana Občine: Hrastnik, Trbovlje, Zagorje ob Savi Občine: Braslovče, Celje, Dobje, Dobrna, Gornji Grad, Kozje, Laško, Ljubno, Luče, Mozirje, Nazarje, Podčetrtek, Polzela, Prebold, Rečica ob Savinji, Rogaška Slatina, Rogatec, Slovenske Konjice, Solčava, Šentjur, Šmarje pri Jelšah, Šmartno ob Paki, Šoštanj, Štore, Tabor, Velenje, Vitanje, Vojnik, Vransko, Zreče, Žalec Občine: Črna na Koroškem, Dravograd, Mežica, Mislinja, Muta, Podvelka, Prevalje, Radlje ob Dravi, Ravne na Koroškem, Ribnica na Pohorju, Slovenj Gradec, Vuzenica Občine: Bled, Bohinj, Cerklje na Gorenjskem, Gorenja vas-Poljane, Gorje, Jesenice, Jezersko, Kranj, Kranjska Gora, Naklo, Preddvor, Radovljica, Šenčur, Škofja Loka, Tržič, Železniki, Žiri, Žirovnica Vojnik
DANES
18°C
0°C
JUTRI
16°C
-1°C
Oceni objavo

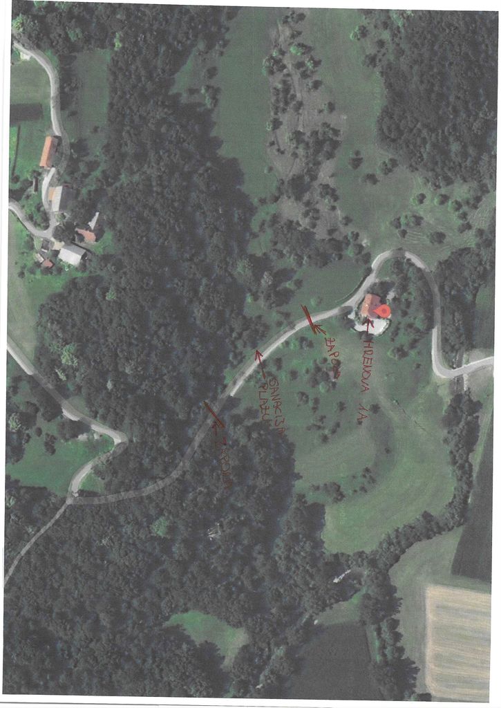
POPOLNA ZAPORA JAVNE POTI JP 964901 HRENOVA

Obveščamo vas, da bo zaradi sanacije plazu nad HŠ Hrenova 1a, Nova Cerkev, popolna zapora javne poti JP 964901 Hrenova (Pozjak-kmet. Gobec), od 10. junija do 10. julija 2024. 

Uporabnike omenjene javne poti prosimo za razumevanje.


Tekst: Nives Kotnik

Oglejte si tudi