Občina Brežice na podlagi izkazane investicijske namere in v skladu z Zakonom o urejanju prostora (Uradni list, št. 199/21, 18/23 – ZDU-10) pripravlja Občinski podrobni prostorski načrt za poslovno – obrtno cono Jesenice na Dolenjskem, EUP JES-11 in JES-12 (v nadaljevanju OPPN).
V začetni fazi postopka priprave OPPN je občina v mesecu avgustu 2022 zagotovila sodelovanje udeležencev urejanja prostora in zainteresirane javnosti, v okviru katerega je bil v septembru 2022 izveden tudi javni posvet. Podane pripombe in predlogi so bili nato proučeni ter smiselno vključeni v nadaljevanje priprave prostorskega akta.
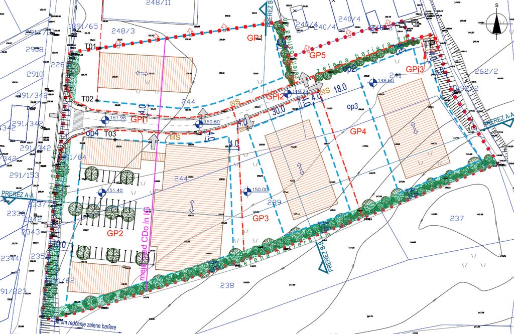
Na podlagi pridobljenih usmeritev in preveritve ustrezne umestitve v prostor je bilo izdelanih več variant vizualizacij. Dve varianti prikazujeta dopustne ureditve, ki so skladne s prostorsko izvedbenimi pogoji OPN – Občinskega prostorskega načrta občine Brežice (Uradni list, št. 41/19 – UPB in 80/21). V ostalih dveh variantah so prikazane s predmetnim OPPN podrobneje načrtovane ureditve, in sicer je ena varianta izdelana na podlagi izkazane investicijske namere, druga varianta pa prikazuje primerjavo vertikalnih gabaritov načrtovanih objektov.
V fazi priprave osnutka OPPN vas ponovno vabimo, da se seznanite s pripravljenimi vsebinami prostorskega akta ter nam podate vaše morebitne pripombe in predloge. Gradiva za pripravo osnutka OPPN so dosegljiva v času od 4.9.2023 do 18.9.2023 na spletni strani Občine Brežice na povezavi: www.brezice.si/sl/prostor (portal Prostor), pod št. 9 OPPN ZA POSLOVNO - OBRTNO CONO JESENICE NA DOLENJSKEM (2.2 Gradivo za seznanitev javnosti).
Kratek opis načrtovanih prostorskih ureditev
Predmet prostorskega akta se nanaša na izgradnjo poslovno-storitvenih, proizvodnih in skladiščnih objektov s pripadajočimi prometnimi in infrastrukturnimi ureditvami. Na pretežnem območju OPPN sta izkazani dve konkretni investicijski nameri, preostalo območje se zajame v obravnavo OPPN s ciljem celovitega urejanja prostora.
Območje obravnave se nahaja na obrobju južnega dela naselja Jesenice na Dolenjskem v Občini Brežice, v neposredni bližini avtocestnega priključka. Predmetna zemljišča so nepozidana stavbna zemljišča.
Celotno vsebino gradiv za pripravo osnutka OPPN si lahko ogledate na predhodno navedeni spletni strani občine.
Vaše morebitne pripombe in predloge nam posredujte do vključno 18.9.2023 na elektronski naslov: obcina.brezice@brezice.si, pri čemer navedite: »Osnutek OPPN za poslovno – obrtno cono Jesenice na Dolenjskem«. Občina bo vaše usmeritve proučila in jih smiselno vključila v nadaljnjo pripravo OPPN.
Za dodatne informacije so kontaktne osebe:
- s strani pripravljavca prostorskega akta Občine Brežice Tanja Rus, T: 07 620 5573, E: tanja.rus@brezice.si
- s strani izdelovalca prostorskega akta Mateja Sušin Brence, T: 041 386 572, E: mateja@mmundus.si





