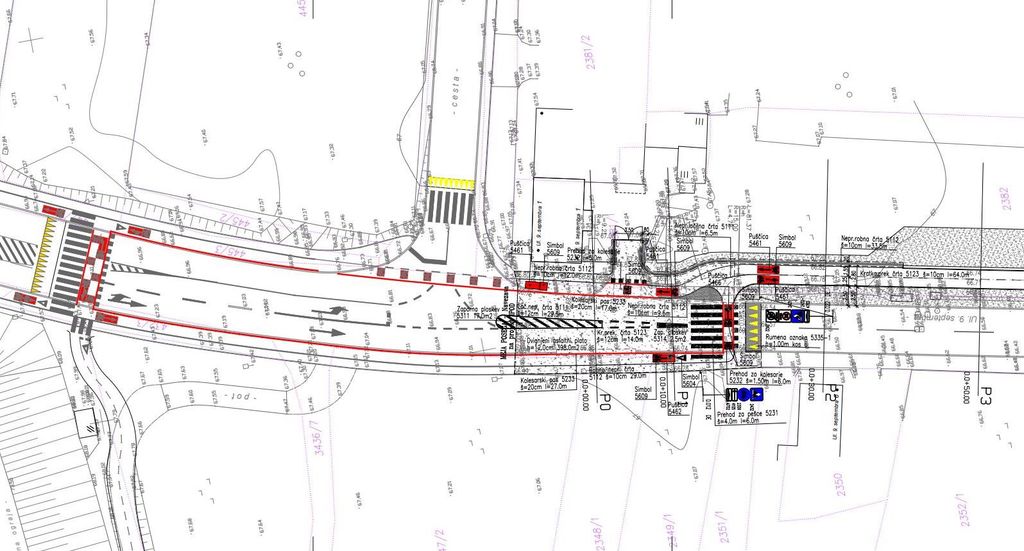
V drugem januarskem tednu se začenja izgradnja dveh novih kolesarskih povezav v občini, in sicer ob Ulici 9. septembra v Vrtojbi ter med Vrtojbensko cesto in obvoznico. Pri prvi gre za ureditev odseka kolesarske steze na delu lokalne ceste na Ulici 9. septembra v Vrtojbi, med priključkom ceste Pod Lazami in priključkom ceste na Čuklje v dolžini 420 m, pri drugi pa bo urejena kolesarska povezava v dolžini 966 m na območju med Vrtojbensko cesto in obvoznico po obstoječi poljski poti ob varovalni ograji avtoceste, ki hkrati služi za dostop do kmetijskih parcel ob vznožju nasipa AC in se bo navezala na obstoječo kolesarsko infrastrukturo ob Vrtojbenski cesti ter na območju MMP Vrtojba.
Investicijska projekta, ki sta bila uspešna na razpisu Eko sklada, sta sofinancirana s strani Ministrstva za okolje in prostor s sredstvi Sklada za podnebne spremembe. S podpisom pogodbe o sofinanciranju investicij je Občina Šempeter-Vrtojba pridobila pravico do nepovratne finančne spodbude v skupni višini 266.636,43 EUR, kar predstavlja 80 % priznanih stroškov obeh projektov.
Z razpisom izbrano podjetje GINEX International d.o.o. naj bi ju zaključilo aprila letošnjega leta. Zaradi izvedbe del bo tako do predvidoma 5. aprila 2021 v delovnem času fazno vzpostavljena delna zapora ul. 9. september z urejenimi in označenimi obvozi. Vse udeležence v prometu prosimo za upoštevanje začasne prometne signalizacije in za strpnost.




