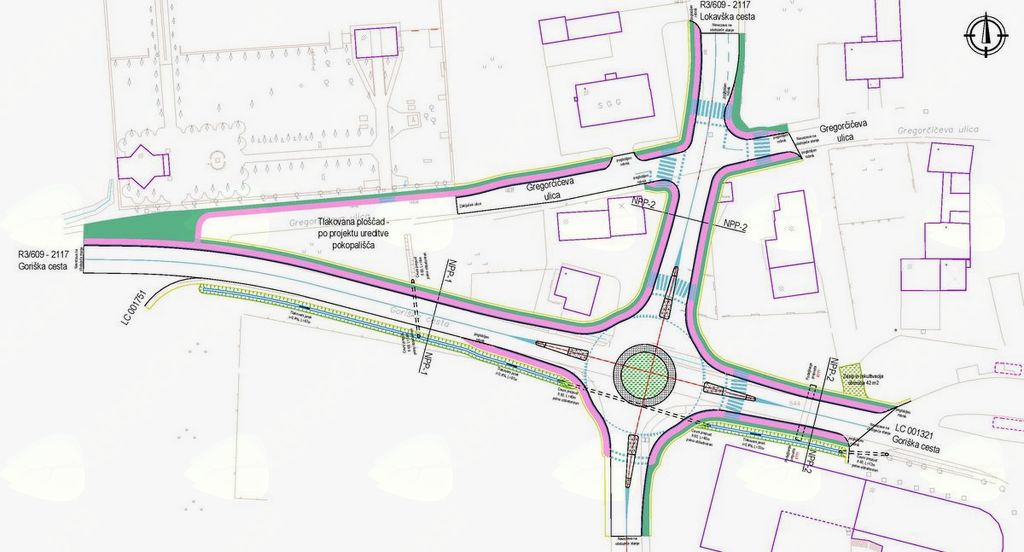
Nova prometna ureditev bo predvsem olajšala tovorni promet na Goro ter dostope do industrijskih objektov na Gregorčičevi ulici. Krožišče bo potekalo na območju parcele nekdanje cestne baze, povezovalo bo lokavško z Goriško cesto ter Gregorčičevo ulico in območje obrtne cone. Del ceste pred pokopališčem bo po ureditvi krožišča zaprt, tu naj bi po prvih idejah nastala ploščad pred glavnim vhodom v pokopališče.
Projekte za urejanje novega krožišča je izdelala Občina Ajdovščina, ki v projektu nastopa kot soinvestitor, prispevala bo 46 % sredstev h končnemu znesku 536.000 evrov. Projekt sicer vodi DRSI, ki je tudi izbral izvajalca. Novo krožišče bo urejeno s pločniki in javno razsvetljavo, v sklopu projekta pa bo urejen tudi del Goriške ceste na obeh straneh krožišča.
sh




